- kancelář č. 213 ve 2. NP o výměře 22,10 m2
- kancelář č. 217 ve 2. NP o výměře 20,00 m2
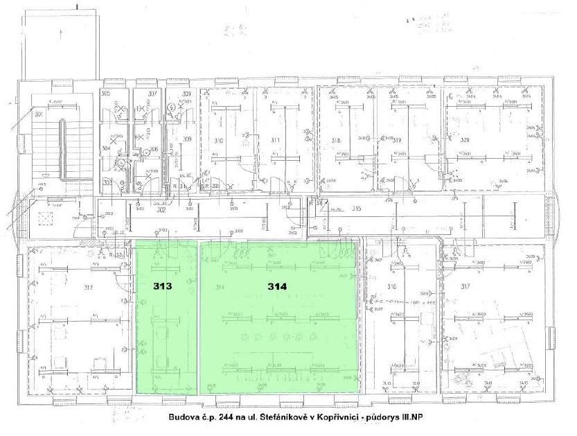
- kancelář č. 313 v 3. NP o výměře 20,30 m2



Za účelem pořádání školení, schůzí, prezentací, přednášek apod. nabízíme krátkodobé pronájmy konferenční místnosti – kapacita 20 míst
- kancelář č. 314 v 3. NP o výměře 52,75 m2


Zobrazit na mapěBližší informace Vám poskytne na odboru majetku města Dana Mašová,
tel. č. 556 879 694, dana.masova(zavináč)koprivnice.cz.